Navegação Costeira
Navegação costeira, estima

Linhas de posição:
É um conjunto de linhas de posição de um navio, marcadas numa carta náutica. Corresponde a uma leitura efectuada por um instrumento de navegação, relativamente a uma referência terrestre, num dado instante. Com uma só Linha de posição não é possível determinar a posição exacta do navio, pois este poderá estar em qualquer ponto da linha. São necessárias duas LDP, no mínimo, para através do seu cruzamento se obter uma posição.
Ponto Conspícuo:
Ponto de referência na costa, facilmente identificável visto do mar, que esteja assinalado nas cartas e que sirva os propósitos da navegação.
Podemos calcular a distância de um ponto conspícuo através do radar ou de um ângulo vertical de sectante, ou saber a posição através de um LPD e da sonda Batimétrica.
Tipos de LDP:
Temos basicamente 5 tipos de LDP, independentemente dos instrumentos de navegação usados na sua Observação:
Direcção – Azimute; Marcação; Enfiamento; Alinhamento;
Distância – Radar; Ângulo vertical de Sectante
Diferenças de distâncias – Sistema de rádio posicionamento
Segmento capaz – ângulo horizontal de sextante
Batimétrica – Sonda
Direcção:
Uma direcção observada de bordo relativamente a um ponto conspícuo é uma LPD recta que passa pela posição desse ponto e está orientada segundo a direcção observada. Os três tipos de direcção mais importantes usados em navegação para calcular a posição do navio são os Azimutes, as Marcações e os Enfiamentos.
Azimutes e Marcação:
Um observador a bordo de um navio vê um farol segundo uma determinada direcção. Para determinar o valor dessa direcção podem ser utilizados dois diferentes:
1- Azimute – Obtém-se medindo o ângulo a partir de norte magnético para a direcção do farol.
2- Marcação – Obtém-se medindo o ângulo contado a partir da proa do navio para a direcção do farol.
Enquanto que para obter um azimute é necessário o uso de uma agulha para termos a referência do norte, a marcação pode ser obtida a partir de uma graduação fixa na borda do navio – o taxímetro.
No entanto, para marcar a LDP na carta náutica é necessário conhecer o valor do azimute. Este pode ser obtido a partir da marcação, por adição ou subtracção do seu valor à proa do navio determinada no instante da leitura da marcação.
O navio estará algures sobre a LDP corresponde ao azimute obtido, marcado na carta náutica, sobre ao farol em questão.
Enfiamento e Alinhamento
Se um observador vê dois objectos em linha então ele estará sobre a direcção que os une. Para ele, os objectos estarão enfiados.
Esta LDP é a mais fácil de obter, pois não é necessário usar nenhum aparelho de medida, bastando a observação visual dos dois pontos que estejam assinalados na carta.
Este tipo de LPD é normalmente muito rigoroso, desde que a relação entre a distância do observador ao ponto mais próximo de si e a distância entre os dois pontos seja adequada.
Idealmente aquela deve ser menor do que o triplo da distância entre os dois objectivos. Diz-se então que o enfiamento é “sensível”.
Se um navio se encontrar exactamente sobre a linha que une dois pontos conspícuos, diz-se que esse navio se encontra sobre o alinhamento desses pontos. Esta LPD corresponde a uma linha perfeitamente definida na carta mas é de difícil observação porque só com um aparelho especial é que se consegue observar as duas marcas em simultâneo.
Segmento capaz (ângulo horizontal de sectante)
Quando, a bordo de uma embarcação, são avistados dois pontos compíscuos na costa, pode-se, através da medição do ângulo entre as direcções para cada um deles – Ângulo horizontal de sectante – Determinar uma LDP – Segmento capaz – Correspondente a uma circunferência que passa pelos dois pontos e pela posição da embarcação.
Este tipo de LDP baseia-se no princípio matemático do ângulo circunscrito.
Em termos práticos, para utilizar este tipo de LDP, basta seguir os passos indicados para a construção da circunferência correspondente na carta, ou então utilizar um “Station Pointer” que é em instrumento especialmente concebido para o efeito.
Construção do segmento capaz:
1º- Une-se os objectos visados (ovservados) com um segmanto de recta

Traçar a mediatriz (meio) de segmento de recta que une os dois pontos

3º- Se alpha fôr o ângulo observado, calcula-se betha = 90 – alpha

4º- A partir de um dos objectos traça-se betha e encontra-se o centro da circunferência “P”, pela intersecção desta recta com a traçada em 2º

5º- Com centro em “P”, e aberto com a distância a um dos objectos, traça-se, com um compasso, a circunferência que define a LDP.

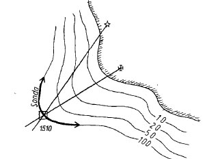
Batimétria (sonda)
Pode-se obter uma LPD através da medição da profundidade no local onde se encontra a embarcação, desde que o fundo tenha um declive suficiente pronunciado e que as batimétricas estejam desenhadas na Carta Náutica.

Determinação das LDP
A determinação de LDP por direcções é geralmente feita na prática por “aparelhos de marcação” associados a instrumentos que indicam direcção:
-Girobússolas “Agulhas eléctricas”
-Agulhas magnéticas
Um “Aparelho de marcar” é um instrumento, com uma mira associada a um prisma óptico, que se coloca sobre uma agulha, através do qual se pode visar um objecto e fazer uma leitura da direcção para ele.
Um azimute é assim tirado fazendo pontaria para o objecto através da mira e efectuando a leitura do valor indicado na rosa dos ventos da agulha, com o auxílio de uma linha vertical existente no prisma.

Os azimutes lidos, quer através de girobússolas, quer através de agulhas magnéticas têm de ser convertidos em azimutes verdadeiros para poderem ser traçados nas cartas de navegação.
Enfiamento
Para se saber que se está sobre uma LDP definida por um enfiamento, não se necessita de qualquer tipo de instrumentos. Basta ver os dois pontos conspícuos considerados, alinhados um sobre o outro. Diz-se então que estão Enfiados.

Pode-se aproveitar um enfiamento para determinar o erro de um instrumento.
Como se sabe a sua direcção verdadeira (determinada da carta náutica), basta compará-la com a leitura efectuada com a agulha, para determinar o erro.
Distâncias
Os instrumentos mais comuns para medir distâncias são:
-Radar
-Sectante
Radar
O radar é um equipamento de detecção por reflexão de ondas electromagnéticas. O seu princípio de funcionamento baseia-se na medição do tempo de percurso entre a transmissão (TX) de um impulso electromagnético e a sua recepção, após reflexão no alvo.

Factores a considerar na leitura e marcação das LDP
Para se obter um bom ponto, isto é, um pequeno triângulo da posição, são quatro os factores principais a ter em conta:
-Cruzamento de LDP
-Rigor da leitura
-Rapidez da leitura
-Ordem de Leitura
Cruzamento das LDP
Quanto mais perpendicularmente se cruzarem duas LDP melhor será o rigor do ponto.

As leituras usadas na marcação das LDP devem ser previamente planeadas em função dos instrumentos/equipamentos de navegação existentes a bordo e dos pontos conspícuos disponíveis no momento, tendo sempre em consideração obtenção do melhor cruzamento das LDP.
Rigor da leitura
O maior ou menor rigor com que se efectuam as leituras para o traçado das LDP depende do estado de conservação dos instrumentos utilizados, da distância aos pontos conspícuos, do cuidado do observador, das condições ambientais…..ect.
O importante é o navegador ter sempre em atenção estes e outros inúmeros factores para que possa ter a sensibilidade de quais os erros que pode estar a cometer quando está a efectuar uma leitura, por forma a eliminá-los sempre que possível.
Rapidez da leitura
O princípio da determinação da posição do navio assenta no facto de este estar simultaneamente sobre 2 LDP diferentes, e por isso, só pode estar no seu ponto de intercepção.
Se um navio que navegue a 30 nós de velocidade o navegador tirar u azimute ás 15:00 e outro ás 15:03 o navio percorrerá 1,5 milhas entre os dois azimutes e consequentemente a intercepção das duas LDP não representa a posição exacta do navio.

Quanto maior é a velocidade do navio, menor tem de ser intervalo de tempo gasto entre a primeira e a ultima leitura, na determinação das LDP, para evitar que se corra o risco de introduzir erros consideráveis na marcação da posição.
Ordem de leitura
As leituras para as diversas LDP devem ser planeadas de modo a marcar o último as que variam mais com o movimento do navio. Primeiro devem ser efectuadas as que estão pela proa ou popa, seguidas das que estão pelo través.
Em LDP por distância, as leituras que variam mais serão as de proa/popa e por isso devem ser lidas em último lugar.

Alguns exemplos de Pontos:
Quando se marca um ponto coloca-se um símbolo que indica o processo usado e a hora a que foram feitas as leituras:

Alguns exmplos de como é que se traça uma Proa, um Rumo e os pontos Marcado, Carteado e Estimado:

Nota: O Abatimento é cálculado pela diferença entre a proa e o rumo (as embarcações abatem SEMPRE da proa para o rumo), e abatem para Bombordo ou Estibordo.
Agora na Carta de Navegar a localização da nossa embarcação feita por dois azimutes:
Definição da posição por 3 azimutes:

Azimutes – Faz-se pelo cruzamento de azimutes tirados a pontos conspícuos em terra.
Azimute e enfiamento – Quando se está o enfiamento tira-se um azimute (ou mais, a um ponto conspícuo).

Distancias – Faz-se medindo diversas distâncias á costa com um instrumento de navegação.

Azimute e distância – Tira-se distâncias a terra e azimutes a pontos conspícuos

Azimute e ângulo horizontal de sectante -Tirar um azimute a um ponto conspícuo e medir com um sectante o ângulo entre dois pontos conspícuos.

Batimétrica e azimute – Fazendo a leitura de uma LDP, neste exemplo um azimute, no momento em que a sonda indica que se está a passar sobre uma zona de variação brusca de Batimétrica.

Marcar, Navegar e Tornar a Marcar (NMTM)
Se numa determinada hora foi obtida uma linha de posição a partir de um ponto conspícuo, e sendo esse o único ponto de que se dispõe, o navegador poderá obter uma segunda linha de posição do mesmo ponto constícuo passado um determinado período de tempo e efectuar o cruzamento das duas, obtendo assim uma posição.
O processo usado consiste no transporte da primeira linha de posição segundo o movimento do navio para o momento da segunda linha de posição.





